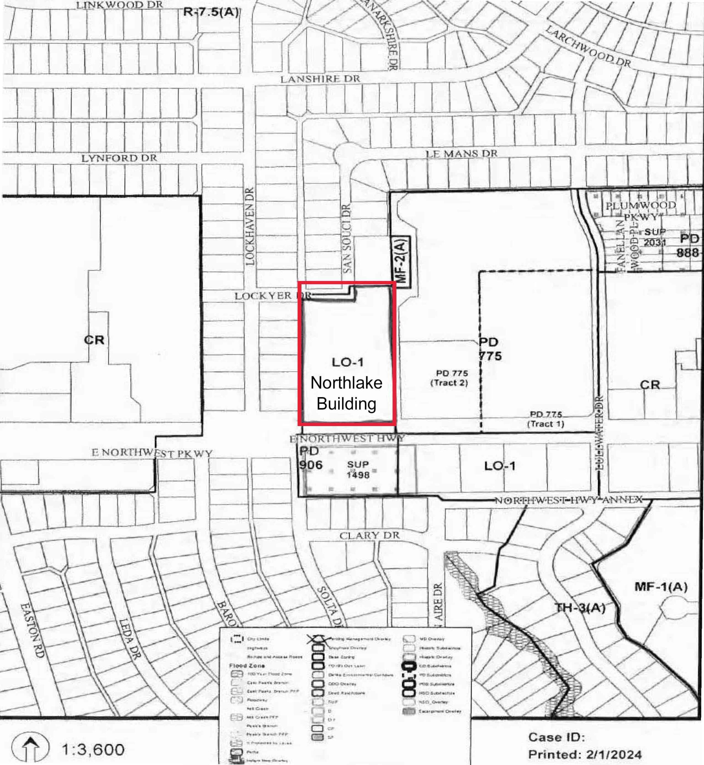
Patio homes and/or townhouses designed for empty nesters are currently being planned for the L Streets area of Lake Highlands, but they’ll need approval from city officials first. Dallas-based The Javelin Group is proposing to rezone 10405 East Northwest Highway, currently home to the Northlake Building, Candy’s Dirt reports.
The Northlake Building was built in 1967 and renovated in 2018. It’s 42,000+ square feet have been used primarily for office and medical uses. Land use planner and zoning consultant Rob Baldwin filed the zoning change application in February.
In addition to the 3-story office building, the 3.6-acre site includes a parking lot to the north. About 30 to 40 single family homes could be built there, Baldwin told Candy’s Dirt, and Javelin is in discussions with developers now. Price tags would be in the $500,000 to $600,000 range.
Javelin owns The Villages of Lake Highlands, a rehabilitation and senior living center northeast of the property. To the north is a carpet of houses on the L Streets, where young families — including many led by Lake Highlands High School graduates — are flocking to refurbish homes and raise their children. The L Streets neighborhood, so named because most street names begin with the letter L, was developed in 1954.
Baldwin expects the zoning change request to be heard this summer. City plan commission members and city council members have long been grappling with Dallas’ housing shortage and the resulting decline in population. Proposals for attractive and affordable housing have been favorably viewed around the horseshoe.

