Robert Elliott Custom Homes, the Dallas-based home building company, has announced a new luxury housing development in collaboration with Poppy McGough Design House.
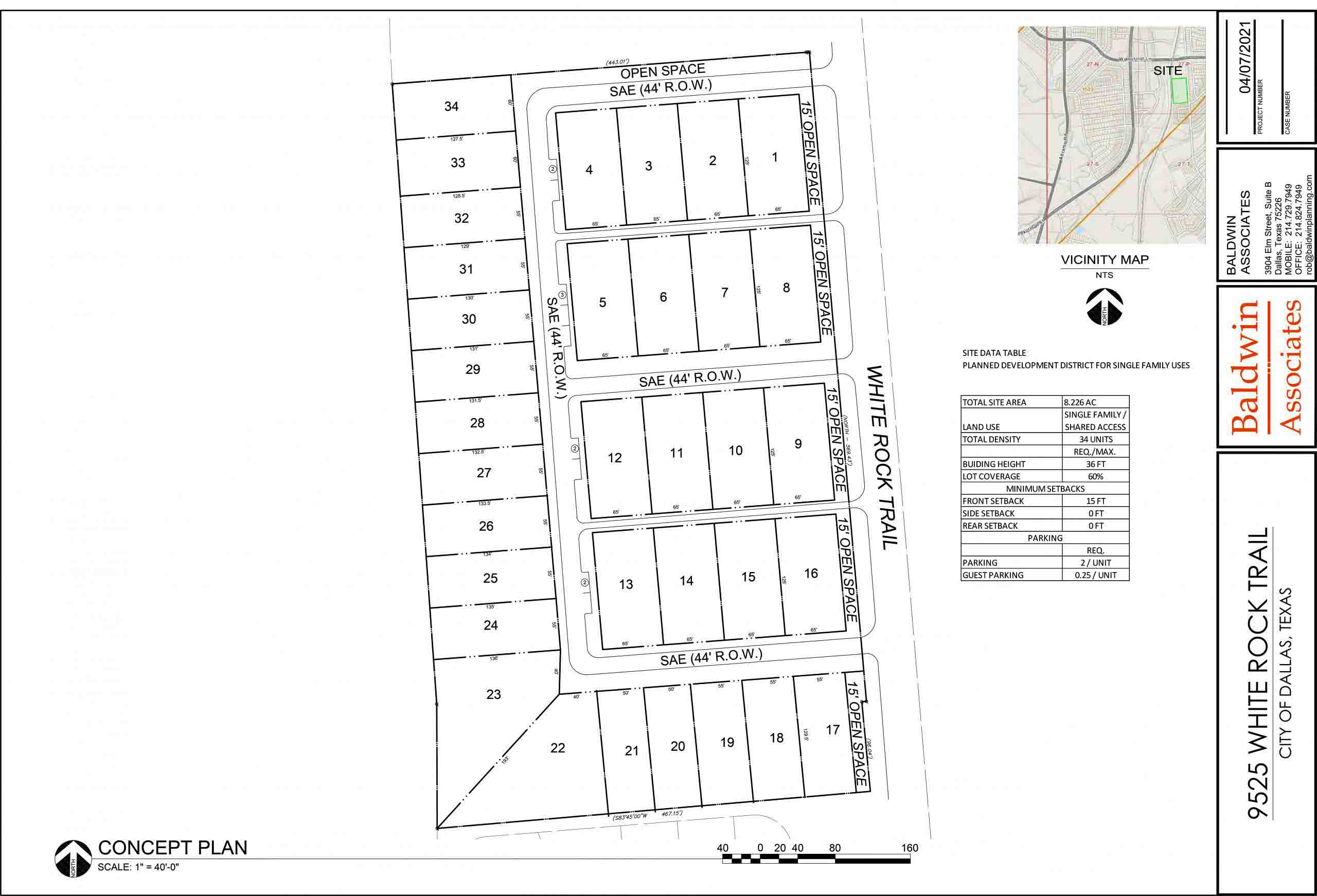
The community, called White Rock Bluffs, will consist of a collection of 34 homes, each four- and five-bedroom layouts starting at 5,000 square feet. Poppy McGough Design House will provide full-service design.
White Rock Bluffs is close to White Rock Lake and within Richardson ISD, according to the press release. The site on White Rock Trail near Walnut Hill Lane was formerly home to Hollywood Overhead Door Co.
“The Lake Highlands neighborhood is incredible for families and we are delighted to bring homes with modern sophistication to help fill that demand,” Robert Elliott said in the press release.
Construction on the new community is expected to begin Fall 2023.

